Home
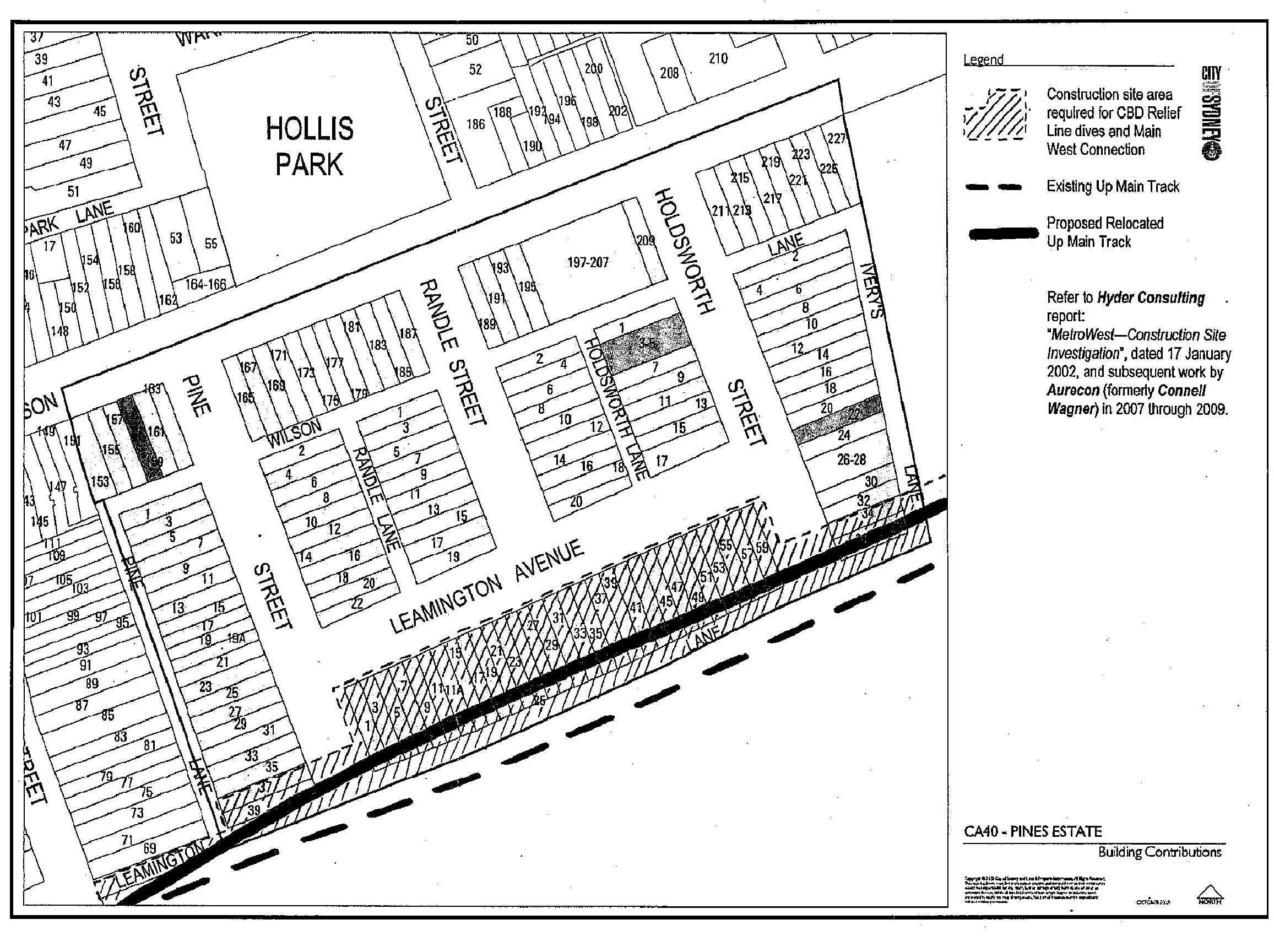
Leamington Avenue Resumption Warning Leaflet - June 2010